REQUEST A TOUR If you would like to see this home without being there in person, select the "Virtual Tour" option and your agent will contact you to discuss available opportunities.
In-PersonVirtual Tour

Listed by Adam Schneidermanof Strauss Realty Ltd
$14,000,000
Est. payment /mo
274,550 SqFt
UPDATED:
Key Details
Property Type Commercial
Sub Type Industrial
Listing Status Active
Purchase Type For Sale
Square Footage 274,550 sqft
Price per Sqft $50
MLS Listing ID 12523103
Year Built 1915
Annual Tax Amount $135,161
Tax Year 2023
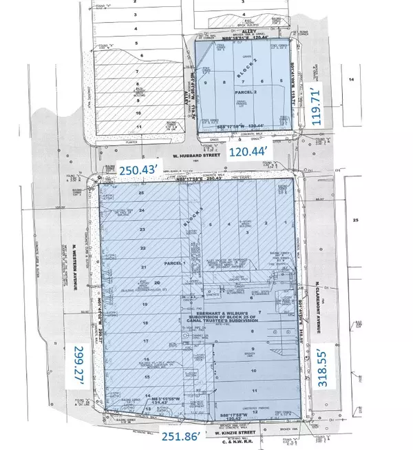
Lot Dimensions 299x250x318x251
Property Sub-Type Industrial
Property Description
FOR SALE OR LEASE - The West Hub @ 401-435 N. Western Ave, the largest redevelopment opportunity west of Ogden! This expansive 274,550 SF concrete and timber loft complex spans 1.803 acres with an additional 0.3-acre surface lot and consists of TWO interconnected buildings featuring rich industrial character, flexible layouts, and significant infrastructure. The property offers 7,000 SF to 151,800 SF available for lease, including a first-floor 18,295 SF warehouse and 10,470 SF office offered as-is at $8 PSF MG, with floors 2 through 6 available as-is at $5 PSF MG. Generous building features include a large courtyard parking area, fourteen exterior truck-level docks, heavy floor loads up to 200 lbs per SF, 10'-14' ceiling heights, three freight elevators, one passenger elevator, and full sprinkler coverage throughout. Ideally located in the rapidly expanding Kinzie Corridor just outside Chicago's CBD, the property provides direct access to the Western Metra Station and five major bus routes, along with exceptional visibility-34,400 vehicles per day on Western Ave, 18,400 on Grand Ave, and exposure to approximately 89,500 daily Metra commuters. The East Building offers six stories with approximately 14,360 SF floor plates along W. Hubbard Street, while the West Building delivers maximum prominence with 300 feet of frontage on N. Western Avenue and 250 feet of southern frontage along the elevated rail line, featuring floor plates around 32,500 SF. Located within Enterprise Zone 4, the Kinzie Industrial TIF District, and eligible for Chicago PACE financing, the site benefits from powerful redevelopment incentives and zoning that supports a wide range of industrial, office, and flex uses.
Location
State IL
County Cook
Zoning PMD
Interior
Cooling Office Only
Fireplace N
Exterior
View Y/N true
Read Less Info

© 2025 Listings courtesy of MRED as distributed by MLS GRID. All Rights Reserved.
GET MORE INFORMATION

Joanna Lewkowicz
Designated Managing Broker | Owner | 471.018027 471018027
+1(708) 226-4848 | joanna@boutiquehomerealty.com




